조황관리HOME / 조황관리 / 상세정보

제목 : 11월 19일 군산 뉴 블루스타호 야간 우럭 마무리는 굿 조황...^^
등록일 : 2025-11-20




1000032954.jpg


1000032959.jpg


1000032962.jpg


1000032969.jpg


1000032974.jpg


1000032942.jpg


1000032950.jpg


1000032939.jpg


1000032944.jpg


1000032945.jpg







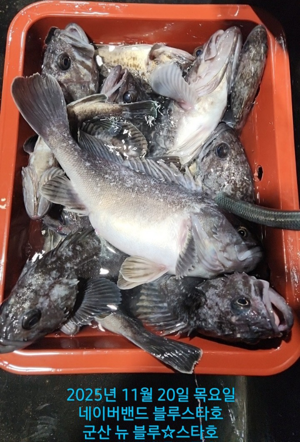
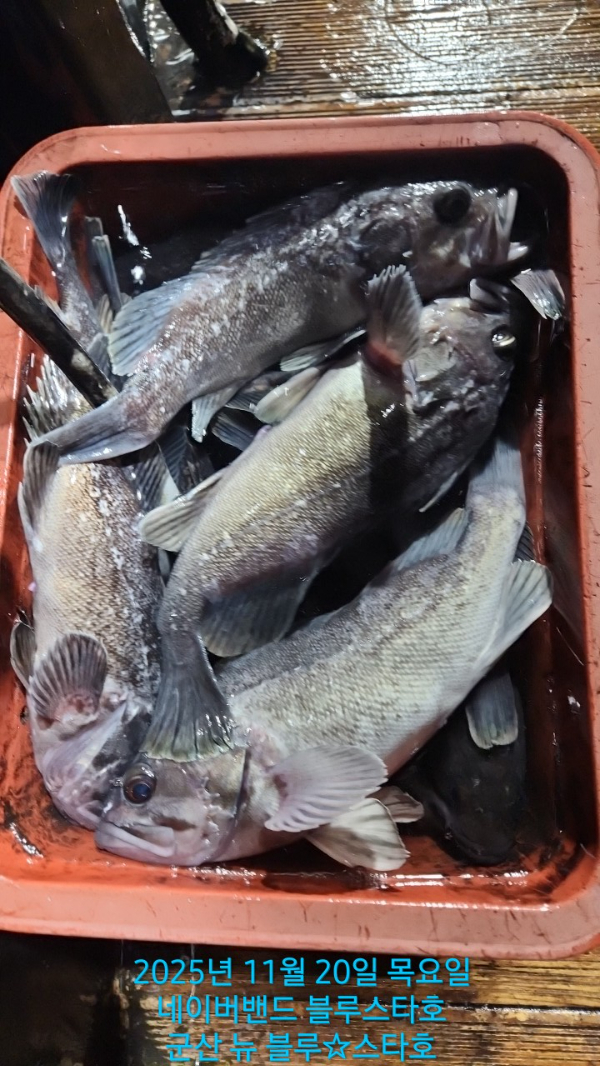
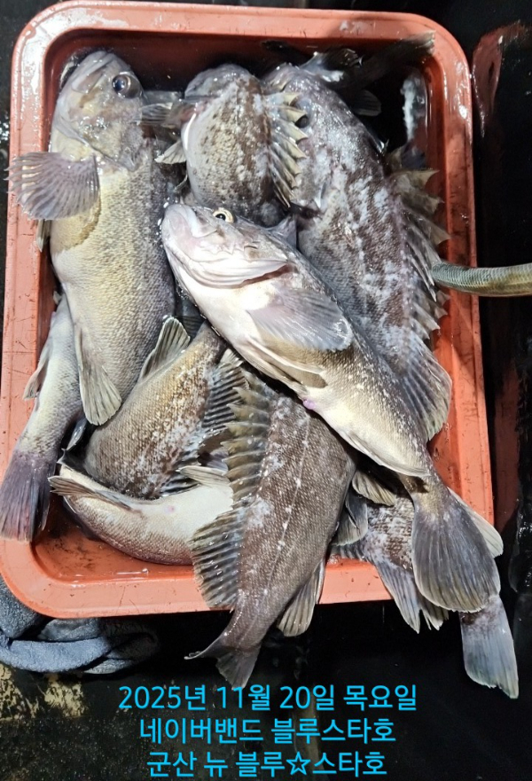
11월 19일 군산 뉴 블루스타호 야간 우럭 마무리는 굿 조황...^^



늦가을로 접어 들며 차가운 북서풍이 불기 시작 하며 수온이 13도 까지 떨어 졌습니다.

밤마다 계절풍의 영향으로 예보와 다르게 밤에는 바람도 많이 불고 제법 많이 추워 졌습니다.

야간우럭 게임 오실때 두터운 외투 꼭 준비 하셔야 합니다.


이틀간 불어댄 주의보로 인하여 오늘도 바다는 너울 너울 합니다.

첫번째 포인트 도착후 낚시를 진행 하지만 너울과 물색이 좋지 않아 우러기가 안나오네요.

두번째 이동 한 포인트 또한 어찌다 한마리 낱마리 수준...ㅠㅠ

캐스팅 포인트도 돌아야 되고 생미끼 포인트도 공략 해야 되는데...  우레기 보기 힘드네요.

많은 시간을 허비한 터라 캐스팅 포인트 진입후 한마리 두마리씩 잡아 내기 시작 합니다.

철수시간이 넘어섯지만 손님들 물칸에는 낱마리 우레기들 뿐...ㅠㅠ

손님들께 양해를 구하고 2시 30분쯤 다시 포인트  이동을 합니다.

오늘 우레기들 찾으리라 다짐 하고 열심히 돌아 다닙니다.

마지막 포인트에서 우레기 덩어리급 들과 마릿수 쌍걸이 ...

항 도착 하니 4시 50분 이네요...ㅠㅠ

철수길 내내 생각 해보니 수온이 2도나 내려 가고 물색또한  안 좋으니...

한분도 포기 하지 않고 열심히 노력해 주셔서 드실 만큼 잡고 늦은 귀가 하셨습니다.

많이 잡은분도 있지만 개인 조과 차이도 있고 늦기도 해서 몇개의 물칸만 사진으로 남겨 봅니다.




☆ 19일  야간 우럭 캐스팅 게임 & 생미끼 조황.









다음주 야간 낚시도 기상만 좋으면  소수 인원 이라도 출항 합니다.

인원 적다  하여 부담 갖지 마시고 예약 하셔도 됩니다.

다음주도  계속 출항 예정 입니다.


전달: [군산 블루☆스타] 출조
[군산 블루☆스타] 출조점 안내드립니다.

출조점: 대일 피싱 (승선명부 작성하는 곳)

주   소:  전북 군산시 새만금북로 195 대일 피싱 

예 약     전  화:  010 - 8826 - 8302(선장)
                                               (매니저)

☆ 출조점으로 17시  30분까지 오셔서  승선 명부 작성 하시고 비응항으로 바로  오시면 됩니다.

☆ 승선명부 작성하시고 필요하신 지그헤드(1/4,3/8,1/2,3/4,1온스),미끼(3,4인치 야광 테일웜) 구매후  승선하시기 바랍니다.


☆ 승선명부 작성하시고 필요하신 2단채비&봉돌(40호), 우럭 바늘 24호,미끼(오징어) 구매후     승선하시기 바랍니다.

☆ 수온이 높은 관계로 아이스박스에 얼음은 직접 준비 하시거나 출조점에서 구입후 탑승 하시면 됩니다.

☆ 배 정박지로 18시 00분 까지 오시면 됩니다.


☆ 출항은 18시 30분에 합니다.

☆ 신분증 꼭 지참 하셔야 합니다.

☆ 낚시대 대여(1.5만원)는 출조점에 준비 되어 있습니다.

봉돌은
40호 준비 하시면 됩니다.

☆☆☆ 생미끼 우럭 낚시대 꼭 준비해서 오기길 부탁 합니다.









☆☆☆ 생미끼 선상 우럭대, 채비, 오징어 필수 입니다.☆☆☆



*** 군산 뉴블루스타호 예약 안내 ***


예약문의 : 010-8826-8302

오시는길 : 전북 군산시 새만금북로 195 대일피싱

홈페이지 : https://bluestar.sunsang24.com/


모바일.jpg 


Top